傳媒
海洋酸化向海洋生態發出警號
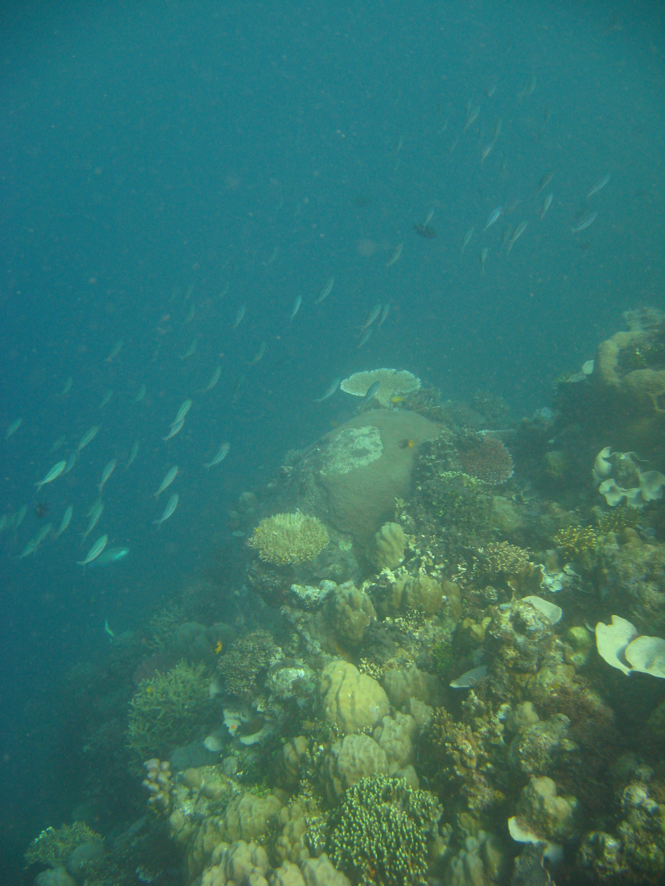
鈣化青口床及珊瑚礁尤其脆弱
2016年11月22日
學術期刊《自然氣候變化》(Nature Climate Change)剛剛發表的研究報告顯示,全球海水酸化將影響生態環境及損害生物多樣性, 物種因級聯關係而日漸遞減。
是次研究為加拿大英屬哥倫比亞大學的生物多樣性研究人員主導,加上香港大學以及美國、歐洲、澳洲和日本各地的研究人員參與,整合了眾多現有的相關研究,就海水酸度上升帶來的影響作出深入分析。
全球二氧化碳排放量持續上升,導致氣候變化和海水酸化,造就生物界有贏家和輸家,這已是既知的事實。
雖然大多數研究側重於氣候變化和海洋酸化,對個別物種的影響,此項最新的研究則著重於海洋酸化對珊瑚礁、青口床、海帶林、海草床等各類海洋生物賴以為生的棲息環境所帶來的影響。研究人員觀察世界各地已受影響的生態環境,預測海洋酸化為生態環境所帶來的改變,如何影響其物種的承載量。
研究人員結合10份量度了海底火山口影響的數據和觀察,再加上15份關於棲息環境轉變如何影響當地物種的研究,整合後作出預測。由於海底火山口排放二氧化碳,可模擬未來海水酸化對各類建構生境物種(如珊瑚、海草)的影響。
是項論文的第一作者、英屬哥倫比亞大學動物學家及生物多樣性研究人員Jennifer Sunday 博士指出:「在依賴碳酸鈣的生境,例如珊瑚礁、青口床等,預計海洋酸化會削弱生物多樣性。這實在不足為奇。」需要碳酸鈣來構建骨骼和貝殼的物種,如青口和珊瑚等,相信將特別容易受到酸化的損害。
珊瑚礁生物多樣性預料將顯著下降
香港大學太古海洋研究所及此研究報告的合著作者Bayden Russell博士指出:「在一些海底火山令海水酸度上升的地域,我們得悉珊瑚礁的結構將可能因未來海洋酸化而溶解,令珊瑚礁提供的生物棲息地失去,引致珊瑚礁一帶的生物多樣性大幅下降。」
研究人員於巴布亞新畿內亞附近的珊瑚礁,以及位於地中海的多片海草床,兩者均有活躍海底火山釋放二氧化碳把海洋酸化的地點,比較他們的預測和實際數據。棲息於珊瑚礁的海洋生物,其多樣性和複雜性隨著酸化加劇而減少;相反在預期中應該因增加二氧化碳而存活較好的海草床,在觀察中則沒有看到生物多樣性增加。
海草反應表現複雜
Jennifer Sunday 表示:「 海草床對許多漁業物種至關重要, 而它們的反應卻是較為複雜的。按照預測,在海洋酸化下海草床可能可以支持更多物種的數量,但目前的實際數據顯示還未達到預期中的程度。研究顯出我們不僅需要關注個別物種,亦需加強研究生物棲息地對氣候變化的反應,以及兩者的相互影響。」
青口產量將下降
同一研究報告顯示,在未來海洋酸化情況下,美國西北海岸的天然青口礁數量及其相關的生物多樣性也將同樣下降。
英屬哥倫比亞大學海洋生態學教授及是次研究的其中一名主要作者Christopher Haley道:「我們現在更清晰明白,一些在海洋酸化中成為輸家的生物,如何影響與其相關的生物多類性; 而另一些物種則可助它們的棲息地調解對酸化的反應。比如說,在太平洋西北地區,隨著海洋的化學成份改變,中至大型可食用鹹水青口的數量可能下降,這對數以百計依靠這些青口作棲息地的生物,將是一個壞消息。」
Russell博士亦指出:「雖然與世界其他地方不同,香港沒有天然的青口床,但水產養殖的青口產量,將會受到同樣的影響,減少產量。」
香港大學太古海洋研究所 的研究人員Vengatesen Thiyagarajan博士表示:「雖然生蠔並非是次研究的一部分,我們對生蠔長遠的存活亦很關注。」跟青口一樣,生蠔在香港及中國內地也很普及,是日常食用的海產和保健品元素,在生態系統中亦佔著重要位置。
由於是次測試的地點數量較少,研究人員希望可以擴大未來的模擬測試。
論文Ocean acidification will mediate biodiversity shifts by changing biogenic habitat剛於《自然氣候變化》發表。讀者可於http://dx.doi.org/10.1038/nclimate3161 瀏覽。
傳媒查詢:
香港大學生物學院副教授Bayden Russell博士 (電話: +852 6509 3351/ +852 2299 0680; 電郵: brussell@hku.hk);
香港大學生物學院副教授Vengatesen Thiyagarajan 博士(電話: +852 2299 0601/ +852 2809 2179/ +852 9575 7923; 電郵: rajan@hku.hk);
傳訊及公共事務處 梁菁栘女士 (電話: +852 2857 8555/ +852 9022 7446; 電郵: rhea.leung@hku.hk);
理學院 陳詩迪女士(Tel: +852 3917 5286/ +852 6703 0212; 電郵: cindycst@hku.hk).



